
Canfield VISIA je najnoviji i najbolji uređaj za analizu kože na svetu koji se koristi u svim ozbiljnim kliničkim istraživanjima. VISIA slika kompletno lice, i nakon toga softver koji poseduje veštačku inteligenciju obrađuje slike i daje detaljnu analizu stanja na koži i ispod površine kože koja nisu vidljiva golim okom.
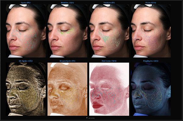
VISIA uređaj omogućava analizu:
- fleka
- bora
- teksture
- pora
- UV mrlja
- smeđih fleka
- crvenila
- porfirina

Pored ovih analiza VISIA analizira gustinu i dužinu trepavica, možete da vidite kako će Vaše lice izgledati za deset, dvadeset, trideset i više godina, takođe možemo da vidimo simulaciju Vašeg lica kako bi izgledalo kada bi se uradile neke estetske procedure.
VISIA nam omogućava da pratimo stanje kože kroz vreme i da upoređujemo kako pojedine procedure i terapije deluju na poboljšanje i podmlađivanje kože (kozmetički preparati, medikamenti, biorevitalizacija, dermapen, laseri, pilinzi i slično).
Nakon odrađene analize dobija se preporuka šta je najbolje za negu i tretman kože lica.
VISIA je zlatni standard u svetu za analizu kože lica.
Sve informacije su informativnog karaktera, pre svake procedure klijent se dogovara sa lekarom o svim koracima, procedurama, kao i dobija savet za negu nakon tretmana.
